数字高程模型

数字高程模型

分享
  • 产品详情
  • 产品参数

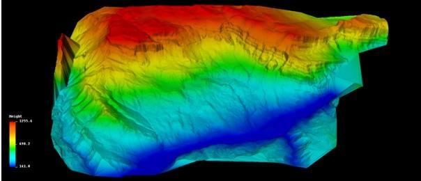
数字高程模型(Digital Elevation Model),简称DEM,是通过有限的地形高程数据实现对地面地形的数字化模拟(即地形表面形态的数字化表达),它是用一组有序数值阵列形式表示地面高程的一种实体地面模型,是数字地形模型(Digital Terrain Model,简称DTM)的一个分支,其它各种地形特征值均可由此派生。一般认为,DTM是描述包括高程在内的各种地貌因子,如坡度、坡向、坡度变化率等因子在内的线性和非线性组合的空间分布,其中DEM是零阶单纯的单项数字地貌模型,其他如坡度、坡向及坡度变化率等地貌特性可在DEM的基础上派生。